船長ブログ(釣果情報)
第二辰丸のご紹介
予定表
アクセス
ホーム
> 釣果情報
2026年2月
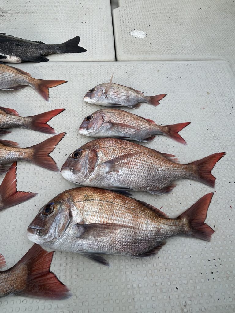
2026年02月01日今日は4名のお客様、お客様によってはお一人がよく釣られたり、釣れない人が居たりでしたがまあまあの釣果でした
2026.02.02
最新釣果情報
2026.02.02
最新釣果情報
2026.02.02
最新釣果情報
2026.02.02
最新釣果情報
2026.02.02
最新釣果情報
2026.02.02
最新釣果情報
2026.02.02
最新釣果情報
2026.02.02
最新釣果情報
2026年01月31日今日は5名のお客様がタックルレンタルされ鉛のタイラバヘッドで頑張られましたが釣果悪かったです
2026.02.02
最新釣果情報
2026.02.02
最新釣果情報
古い投稿ページへ
2026年2月
月
火
水
木
金
土
日
1
2
3
4
5
6
7
8
9
10
11
12
13
14
15
16
17
18
19
20
21
22
23
24
25
26
27
28
« 1月
最近の投稿
2026年02月04日今日は2名様でタイラバ、午前中はよくマダイの当たりがありこの時期としてはまずまず少し当たりが無くなったのでポイント移動しましたが風、波ともに強くなり、もとのポイントに戻りお客様が1匹追加した所で納竿としました。
(タイトルなし)
(タイトルなし)
(タイトルなし)
2026年02月01日今日は4名のお客様、お客様によってはお一人がよく釣られたり、釣れない人が居たりでしたがまあまあの釣果でした
カテゴリー
ご挨拶
(2)
ご連絡
(6)
最新釣果情報
(1,055)
アーカイブ
2026年2月
(16)
2026年1月
(34)
2025年12月
(83)
2025年11月
(27)
2025年10月
(21)
2025年9月
(10)
2025年8月
(40)
2025年7月
(32)
2025年6月
(23)
2025年5月
(15)
2025年4月
(4)
2025年3月
(13)
2025年2月
(2)
2025年1月
(6)
2024年12月
(6)
2024年11月
(3)
2024年10月
(1)
2024年9月
(1)
2024年8月
(7)
2024年7月
(6)
2024年6月
(14)
2024年5月
(12)
2024年4月
(7)
2024年3月
(7)
2024年2月
(6)
2024年1月
(6)
2023年12月
(10)
2023年11月
(18)
2023年10月
(7)
2023年9月
(5)
2023年8月
(7)
2023年7月
(5)
2023年6月
(10)
2023年5月
(9)
2023年4月
(9)
2023年3月
(8)
2023年2月
(9)
2023年1月
(10)
2022年12月
(9)
2022年11月
(14)
2022年10月
(14)
2022年9月
(8)
2022年8月
(8)
2022年7月
(10)
2022年6月
(11)
2022年5月
(12)
2022年4月
(15)
2022年3月
(7)
2022年2月
(10)
2022年1月
(10)
2021年12月
(14)
2021年11月
(13)
2021年10月
(11)
2021年9月
(11)
2021年8月
(13)
2021年7月
(8)
2021年6月
(14)
2021年5月
(15)
2021年4月
(11)
2021年3月
(8)
2021年2月
(5)
2021年1月
(10)
2020年12月
(17)
2020年11月
(11)
2020年10月
(12)
2020年9月
(6)
2020年8月
(13)
2020年7月
(8)
2020年6月
(13)
2020年5月
(14)
2020年4月
(11)
2020年3月
(11)
2020年2月
(5)
2020年1月
(10)
2019年12月
(16)
2019年11月
(10)
2019年10月
(13)
2019年9月
(7)
2019年8月
(7)
2019年7月
(8)
2019年6月
(8)
2019年5月
(15)
2019年4月
(10)
2019年3月
(9)
2019年2月
(7)
2019年1月
(11)
2018年12月
(11)
2018年11月
(9)
2018年10月
(8)
2018年9月
(8)
2018年8月
(5)