2025年9月
2025年09月28日の釣果
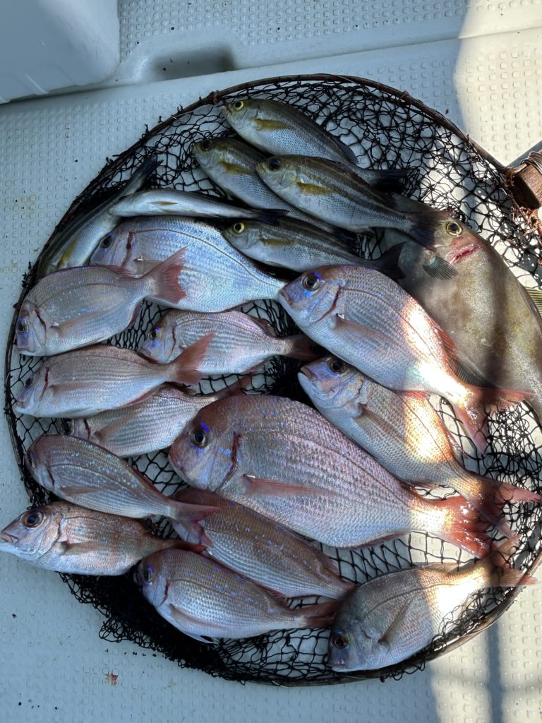
2025年09月28日の釣果。前日27日は悪天候の為中止にしました。今日はまずイサキを狙って見ましたが良型サイズのイサキは釣れましたが後がなく、魚探に映る魚影狙って見ると良型マダイが釣れ3匹ゲット、またイラ、ヤズ、ハゲ、アジ少し釣ってポイント移動、チダイ、ハゲ少し釣って納竿としました。クーラーの写真はお一人様の写真です





2025年09月15日の釣果
2025年09月15日今日は五目釣り、イサキ、マダイ、チダイ、ハゲと船のイケスが魚で一杯になり、帰る前にマダイやチダイは船で締めて皆さんで分け合い、写真の小ダイ、チダイは残りで、小型のイサキもイケスに結構残して帰られました






2025年09月14日釣果
2025年09月14日今日は五目釣り、ハゲ、チダイ、イサキ、少し型の良いマダイも釣れました






2025年09月15日

2025年09月07日釣果
2025年09月07日、今日はタイラバ、ハマチ狙いで出船、マダイ、ハマチほどよく釣れました






2025年08月31日釣果
2025年08月31日今日は3名様の新規のお客様でハゲ五目釣り、先日のポイントで小型のイサキ、ハゲ少し、またチダイは釣れましてがハゲは賢くてなかなか釣れないので、ポイントを変えて見ましたがハゲは姿見せず、たまにチダイが掛かる程度、それから底に仕掛けを落としたら良型のイサキが釣れてから一時入れ食い状態、ヒラアジも40cmぐらいが釣れ昼過ぎには納竿としました。








2025年08月30日今日は3名様でハゲ五目釣り、潮止まりも有りイサキは小型が少し、チダイの群れが入っていたのでハゲより先にチダイばかり食いついてハゲは少しでした、暑いので今日はお客様の意向で12時納竿としました




